Reisen - 17.06.21

Zwei Tauchgänge vor der Hanifaru Bay

Auf Dharavandhoo gibt es drei Tauchbasen. Jeden Tag kamen wir auf dem Weg zum Strand bei den Liquid Salt Divers vorbei, aber nie war jemand da. Licht war aber an. Dann gibt es noch Blueworld Dharavandhoo und die Dharavandhoo Divers. Auf dem Rückweg zur Unterkunft machten wir einen kurzen Umweg zu den Dharavandhoo Divers, wo wenigstens ein Schild am Tor hing, auf dem "gone diving" stand. Einen Tag später trafen wir dann abends auf die Besitzer Jessica und Virgilio und erkundigten uns über die aktuelle Situation und geplante Tauchgänge. Sie tauchen täglich und bieten auch Nachttauchgänge an. Also erledigten wir den Papierkram und trafen uns am nächsten Morgen um 8:30 Uhr. Die Ausrüstung wurde schon am Vorabend zum Dhoni gebracht und mit uns tauchte noch ein Päärchen aus Slowenien. Wir freuten uns sehr! Unser letzter Tauchgang lag coronabedingt schon über ein Jahr zurück. Ich wollte auch die neue Unterwasserkamera mit dem Handgriff testen.

Ein Tauchgang kostet 57 US$ ohne Equipment. Wir liehen uns Atemregler, Tarierweste und einen Shorty. Dafür mussten wir jedoch freundlicherweise nichts zahlen. Normal kostet ein Teil 5 US$. Nitrox gibt es generell ohne Aufpreis. Bei 29° C Wassertemperatur, auch in 20m Tiefe, entschied ich mich, nur im Rashguard zu tauchen. Tina trug einen 3mm Shorty. Tiefer als 30m darf man auf den Malediven übrigens nicht tauchen.

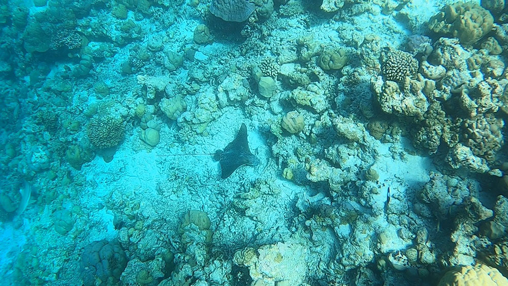
Getaucht wurde vor der Hanifaru Bay, wo Manta-Rochen und Walhaie zu dieser Jahreszeit ein Überangebot an Plankton finden. Die beste Zeit ist jedoch im August. In der Gegend um die Bucht gibt es einige Reinigungsstationen von Manta-Rochen. Hier probierten wir unser Glück, denn in der Bucht darf man nur Schnorcheln.

Der erste Tauchspot lag vor der Insel Dhonfanu, der zweite vor Kihaadhuffaru, der Nachbarinsel. An Bord gab es vor jedem Tauchgang ein Briefing und die ersten zehn Minuten vom ersten Tauchgang entsprachen einem Check-Dive, da der letzte Tauchgang ja schon eine Weile zurück lag. Dazwischen legten wir eine einstündige Pause an Bord ein und genossen die Aussicht.

   

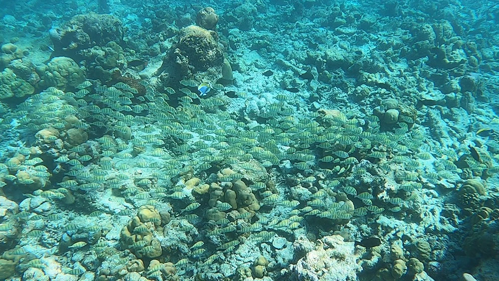
Wir sahen leider keinen Manta, dafür mehrere Haie, auch schlafend, Schildkröten, Adlerrochen, Steinfische, Kugelfische, Muränen, Hummer, Drückerfische, Papageienfische, Wimpelfische und viele mehr. Einmal zeigte Virgilio in die Tiefe des Meeres, wo ich in ganz weiter Entfernung nur einen schwarzen Schatten erahnen konnte. Wahrscheinlich ein Rochen, aber ich kann nicht sagen, was für einer. Der erste Tauchgang dauerte 51 Minuten mit einer maximalen Tiefe von 19,6m, der zweite 42 Minuten mit einer maximalen Tiefe von 28,5m.

Die Qualität der Fotos ist deutlich besser, als die aus dem Ägypten-Urlaub. Mit dem Rotfilter muss ich noch weiter testen. Ein paar Bilder waren doch zu rot, trotz 20m Tiefe. Beim ersten Tauchgang verklemmte ein Knopf des Kunststoffgehäuses der GoPro und verursachte einen SD-Error. Beim Auftauchen löste sich der Knopf wieder und beim zweiten Tauchgang klappte alles, aber ganz zufrieden bin ich nicht. Auch beschlug das Gehäuse beim ersten Einsatz ein paar Tage zuvor, so dass ich es mit Wasser fluten musste, um vernünftig filmen und fotografieren zu können. Bis 10m Tiefe ist die GoPro ja auch von Haus aus wasserdicht.

Gegen 13 Uhr waren wir wieder zurück in der Tauchbasis, reinigten die Ausrüstung und zahlten die Tauchgänge. Wären wir länger auf der Insel geblieben, hätten wir sicher noch mehr Tauchgänge gemacht. Es hat richtig viel Spaß gemacht!

Artikel zur Reise

Impressum - Datenschutzerklärung